Listed by Carol Lynn Lenahan of 1st Choice Better Homes & Land,LC
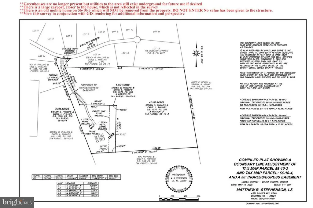
Welcome to your own private retreat. This exceptional property is made up of four separate abutting parcels, sold together, for a total of approximately 83+ acres. The house, double car port and HUGE Barn/Workshop are situated on 10.673 acres (56-10-4). Abutting this is 42.347 acres (56-10-3)--2/3 treed with a stream in the back and the balance cleared. 22.7 acres to the right of the house (56-10-2) is gentle in topography and nearly all cultivated with a visible tree line in the distance. The 7.64 acres (56-10-1) is at the front and right of the property. It has additional road frontage on Horseshoe Farm Rd. While the parcels are currently "The Farm", being separate, they offer so much possibility ”” with potential for additional home sites, a family subdivision, horses, or other uses, subject to county approval. The sprawling one-level rambler is perfectly situated surrounded by this beautiful countryside. Designed for comfort and function, this home features a split-bedroom floor plan with 4 spacious bedrooms, 2 full baths, and 9-foot ceilings throughout. Wide doorways and open spaces make for easy living, while the thoughtful layout blends modern convenience with country charm. Step inside to find fresh carpeting, recessed lig

Listing Tools

Property Details of 284 Boulder Springs Lane

Property Details

Interior Features

Exterior Features

Map Location

 "Based on information submitted to CAAR - GAAR - HRAR as of December 11, 2025 10:16 PM EST . All data is deemed reliable but is not guaranteed accurate by the MLS. All information should be independently reviewed and verified for accuracy. IDX information is provided exclusively for consumers’ personal, noncommercial use and may not be used for any purpose other than to identify prospective properties consumers may be interested in purchasing."

 
 

 

 

Hi there! How can we help you?

Contact us using the form below or give us a call.

Send Us A Message:

I agree to receive marketing and customer service calls and text messages from Howard Hanna-Roy Wheeler | Virginia Gardner. To opt out, you can reply 'stop' at any time or click the unsubscribe link in the emails. Consent is not a condition of purchase. Msg/data rates may apply. Msg frequency varies. Privacy Policy.

Do not fill in this field:

This site is protected by reCAPTCHA and the Google Privacy Policy and Terms of Service apply.

Hi there! How can we help you?

Contact us using the form below or give us a call.

Send Us A Message:

Do not fill in this field:

This site is protected by reCAPTCHA and the Google Privacy Policy and Terms of Service apply.

Hi there! How can we help you?

Contact us using the form below or give us a call.

Send Us A Message:

Do not fill in this field:

This site is protected by reCAPTCHA and the Google Privacy Policy and Terms of Service apply.

Do not fill in this field:

This site is protected by reCAPTCHA and the Google Privacy Policy and Terms of Service apply.

Do not fill in this field:

This site is protected by reCAPTCHA and the Google Privacy Policy and Terms of Service apply.

Do not fill in this field:

This site is protected by reCAPTCHA and the Google Privacy Policy and Terms of Service apply.

$

Do not fill in this field:

This site is protected by reCAPTCHA and the Google Privacy Policy and Terms of Service apply.